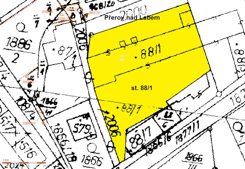
Přerov nad Labem id. 1/2 stp. č. 88/1 + dům čp. 21

ID (37759-A5610)

Došlo k příhozu v aukci, tento příhoz je neplatný.

Upozornění - Prohlížeč má nastavenu jinou časovou zónu než aplikace.
Všechny časové údaje aplikace jsou vztaženy k SEČ/SELČ.

Aukce ukončena

13.11.2019 12:00 - 14.11.2019 12:00  (SEČ/SELČ)
13.11.2019 12:00  (SEČ/SELČ)
Ano

Aukce byla automaticky zrušena z důvodu nesložení kauce žádným z žadatelů o účast v aukci.

1 316 000,00 Kč
20 000,00 Kč
0

Historie příhozů  (SEČ/SELČ)

Historie příhozů
V aukci nebylo přihazováno
Stavby
Převzetí (převod vlastnického práva)
Úřad pro zastupování státu ve věcech majetkových

Lenka Kešnerová

321744509

lenka.kesnerova@uzsvm.cz

Karlovo náměstí 45, 28050 Kolín

Součástí převáděné nemovité věci je obytný dům. Jedná se o řadový, koncový objekt. Budova má v části jedno podzemní podlaží a zastřešení a v části tři nadzemní podlaží a zastřešení. Stropy jsou v části klenbové a v části dřevěné, trámové. Okna v části chybí, oplechování střechy, žlaby a svody chybí. Část zastřešení je zborcená. Elektroinstalace je v současné době nefunkční. Budova je připojena na přípojky: voda z řadu, kanalizace do žumpy, elektro – v současné době vše nefunkční. Kamna nejsou osazena. Budova je ve velmi špatném technickém stavu. Dle výpisu z Památkového katalogu Národního památkového ústavu se jedná o technickou a architektonickou památku, katalogové č. 1000121281. Průkaz energetické náročnosti budovy čp. 21 dle zákona č. 406/2000 Sb. se nevyžaduje, protože budova nesplňuje podmínky funkční budovy ve smyslu ustanovení § 2 odst. 1 písm. p) zákona č. 406/2000 Sb., vzhledem ke skutečnosti, že v ní chybí napojení na rozvody energií a její vnitřní rozvody jsou neopravitelně poškozené, nebo zčásti nebo úplně chybí; povinnost průkazu energetické náročnosti budovy bude dopadat na vlastníka budovy po její provedené rekonstrukci. Současně se průkaz energetické náročnosti dle zákona č. 406/2000 Sb. o hospodaření s energií, ve znění pozdějších předpisů nevyžaduje, neboť je prodáván pouze spoluvlastnický podíl předmětného majetku. Na uvedeném majetku se nachází nebo ochranným pásmem zasahuje energetické zařízení typu Podzemní síť – síť NN střed. Vlastníkem id. 1 výše uvedených nemovitých věcí je Česká republika, příslušnost hospodařit s majetkem státu má Úřad pro zastupování státu ve věcech majetkových, se sídlem Rašínovo nábřeží 390/42, 128 00 Praha 2, IČO: 697 97 111.
v pátek 5. listopadu 2019 v době od 9,00 do 10,00 hod.
Účast v aukci je možná pouze pro registrované uživatele Elektronického aukčního systému (dále jen „EAS“). Způsob registrace je uveden v Aukčním řádu zveřejněném na webových stránkách www.nabidkamajetku.cz, na těchto webových stránkách je možné také registraci provést. 1. Zároveň je podmínkou účasti složení částky na úhradu části kupní ceny (dále jen „kauce“) ve smyslu Čl. 5 odst. 2 písm. c) Aukčního řádu, a to ve výši 131.600,- Kč. Kauci lze složit pouze bezhotovostním převodem na účet č. 6015-2220111/0710 tak, aby byla připsána na účet Vyhlašovatele aukce ve lhůtě do 12. 11. 2019. Jako variabilní symbol a specifický symbol každý uživatel uvede údaje, které jsou zaslány systémem po přihlášení se k aukci. 2. V případě, kdy se účastník aukce nestane Vítězem aukce, a uhradil kauci jiným způsobem, než bezhotovostním převodem, je povinen sdělit kontaktní osobě číslo účtu, na který se mu má kauce vrátit. Takto musí učinit prostřednictvím e-mailové adresy uvedené v kontaktních údajích u svého uživatelského účtu v EAS, a to ve lhůtě 5 pracovních dnů ode dne ukončení aukce.
131 600,00 Kč

Přiložené dokumenty k nabídce